Biomod/2011/Harvard/HarvarDNAnos:Results Box
<html> <head>
<style>
- column-one { display:none; width:0px;}
.container{background-color: #f5f5f5; margin-top:50px} .OWWNBcpCurrentDateFilled {display: none;}
- content {width: 0px; margin: 0 auto auto 0; padding: 1em 1em 1em 1em; align: center;}
- column-content {width: 0px; float: left; margin: 0 0 0 0;padding: 0;}
.firstHeading {display:none; width:0px;}
- globalWrapper{width:1280px; margin:auto}
body {background: #F0F0F0 !important;}
- column-one {display:none; width:0px;background-color: #f0f0f0;}
- content{border:none;margin: 0 0 0 0; padding: 1em 1em 1em 1em; position: center; width: 800px;background-color: #f0f0f0; }
.container{ width: 800px; margin: auto; background-color: #f0f0f0; text-align:justify; font-family: helvetica, arial, sans-serif; color:#f0f0f0; margin-top:25px; }
- bodyContent{ width: 1267px; align: center; background-color: #f0f0f0;}
- column-content{width: 1280px;background-color: #f0f0f0;}
.firstHeading { display:none;width:0px;background-color: #f0f0f0;}
- header{position: center; width: 800px;background-color: #f0f0f0;}
- footer{position: center; width:1280px;}
</style>
</head> </html>
<html>
</html>
Rectangular Box Container Results
...Return to Results <html> </html> Go to Methods...<html> </html> Go to Design...
Overview
- We have designed and folded two robust origami structures: the lid and the barrel. These two structures are the components of our box.
- We demonstrate that we can close and open the box with high efficiency.
- We demonstrate that we can attach AuNP cargo to our lids and/or our barrels and then close the box, placing the AuNP cargo within the box.
- We demonstrate that we can photocleave the AuNP cargo off of our lids, solubilizing the cargo.
- Although we have not directly shown that our closed boxes can contain soluble cargo and thus release soluble cargo upon opening, we have verified all of the system's components: we can close the box, we can load the box with cargo, we can solubilize the cargo, and we can open the box.
- To fully reach our goal, we now only need to photocleave our Lid-AuNP complexes after forming closed boxes via introduction of barrel. If TEM of this photocleaved sample yields closed boxes with contained gold, this demonstrates that our box can securely hold our cargo. Subsequent introduction of the key signal should open the box and release our cargo into solution.
Folding Origami
Gel
The Barrel
The Lid
Opening and Closing the Box
Closing the (Empty) Box
Opening the Box
Before addition of key strands, there is an abundance of closed boxes.
After addition of the key strands, however, nearly all barrels and lids detach from one another, demonstrating that we can controllably close and open this box.
Gel
| Running an agarose gel allowed us to extract bands corresponding to lid:barrel and lid:barrel:lid complexes. The gel also shows that boxes are opened effectively by addition of key strand. | Error creating thumbnail: An unknown error occurred. |
| TEM image of Lid:Barrel gel extract. | |
| TEM image of Lid:Barrel:Lid gel extract. |
Loading the Box
Lid-AuNP Complexes
Lid-AuNP/Barrel Complexes
Further addition of barrels to the above Lid-AuNP complexes gives a small amount of closed boxes with gold apparently positioned inside the walls of the box.
Barrel-AuNP Complexes
Our yield of Lid-AuNP/Barrel complexes was rather low, probably because of our yield of Lid-AuNP complexes (above) was rather low. Therefore, we decided to also attach gold cargo to the inside of our barrels.
We found that the efficiency of loading cargo onto the barrels was higher than loading cargo onto the lids, despite the fact that the gold must find its way into the barrel in order to attach. This may be due to post-binding entropic effects or because there are three handles inside our barrels whereas only one handle on our lids. Note that some of our barrels actually contain more than one AuNP.
Lid-AuNP/Barrel-AuNP Complexes
Releasing Cargo
Photocleavage of Lid-AuNP Complexes
Previously, we showed that our photocleavage protocol can successfully cleave ssDNA ordered from IDT with an internal photocleavable spacer. We use these PC spacers as a linker between the lid and the lid's gold handle when we want to controllably release our nanocargo. Above, we showed that we can attach gold to lids that are not equipped with a PC spacer. Here, we show that we can also attach gold to lids that are equipped with a PC spacer.
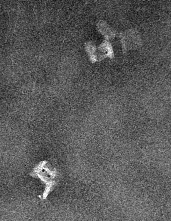
Prior to photocleavage, note the presence of Lid-AuNP complexes, indicated by the black boxes.
However, after photocleavage, there exist essentially no Lid-AuNP complexes: we have thus demonstrated that we can controllably attach and release gold from our lids.
Solubilization Within the Box and Subsequent Opening of Box to Release Cargo
Future steps:
