IGEM:Harvard/2006/DNA nanostructures/Notebook/2006-7-21
From OpenWetWare
Jump to navigationJump to search
Basic outline of the day
- precipitate nanoboxes away from oligos (both 3.2 and 4.0) - using ethanol as we have no PEG — done
- finishing folding 4.0 with latch 2 with biotinylated oligos for protection assay later
- incubating biotinylated 4.0 structures (both precipitated and not) with streptavidin for imaging later
- Tiff will come over to the med school for EM with 4.0 core, latch 1, latch 2, biotinylated core w/ strep, biotinylated core w/out strep, 6hb control
- splitting up the scaffold based on chosen scaffold loop sites for design 5.0
- designing latches for design 5.0
- determining aptamer sites for design 5.0
Preliminary precipitation experiments

- Why precipitation? There are two problems with running a nanostructure and oligos together on a polyacrylamide gel with streptavidin. One is that it is unclear which band is which (see right), although we believe that the slowest band (just below the well) is the nanostructure and the faster smear is the oligos. The other is that the presence of excess (unfolded) biotinylated oligos will compete with the nanostructure for oligo binding. Therefore, we should precipitate our nanostructures in order to a) determine which band are the nanostructures and b) prevent biotinylated oligo interference.
- Which precipitation protocol works best on our nanostructures? We should try all three of Shawn's protocols, and then run both the purified nanostructures, as well as the decanted supernatant, on an agarose gel to get a sense of purity/efficiency of each.
Precipitation
- 10 μL each of 4.0Db, 4.0Eb, 4.0Fb, 4.0Gb, and 3.2.Ib were pipetted into respetive 0.2 mL PCR tubes and precipitated with the salt and ethanol protocol.
- The supernatant of each was reserved.
- Each supernatant (Ib in lane 4, Db through Gb in lanes 5-8), the reconstituted Ib (post-precipitation) (lane 2), and unpurified Ib (lane 3) were run with loading dye (lane 1) and a 1 kb ladder (lane 9) on a 2% agarose gel.
- results: no data. gel box was turned around backwards, leading to everything running the wrong direction.
- Had some difficulty during the reconstitution:
- reconstituted Ib with 10 μL 10x folding buffer (not 1x), Db and Eb with 5 μL 10x (not 1x), and Fb with 10 μL 10x (not 5 μL 1x). Gb was properly reconstituted with 5 μL 1x.
Precipitation, take 2
- 10 μL each of 4.0Fb and 4.0Gb were pipetted into respetive 0.2 mL PCR tubes and precipitated with the salt and ethanol protocol.
- The supernatant of each was reserved.
- Each precipitate was reconstituted in 10 μL 1x folding buffer.
- Each reconstituted precipitate (Fb in lane 3, Gb in lane 6), their supernatants (Fb in lane 4, Gb in lane 7), and unprecipitated samples (10 μL Fb in lane 2,10 μL Gb in lane 5), was run with a 1-kb ladder (lane 1) on a 2% agarose gel.

- results
- precipitation appears to have removed all oligos (no oligos in lane 3 and lane 6), but also appears to have taken with it most of the nanostructures (only thin nanostructure bands in lanes 3 and 6, and lots of nanostructures in lanes 4 and 7)
v.4.0 biotinylated boxes continued
- Working stocks c4.0Hb and c4.0Ib were made.
| Stock ID | Experiment | 1 | 2 | 3 | 4 | 5 | 6 | 7 | 8 | 9 | 10 | 11 | 12 | 13 | 14 | 15 | 16 | 17 | 18 | 19 | 20 | 21 | 22 | 23 | 24 | 25 | 4b | 6b |
| c4.0Hb | latch design 2, inside biotin | x | x | x | x | x | x | x | x | x | x | x | ||||||||||||||||
| c4.0Ib | latch design 2, outside biotin | x | x | x | x | x | x | x | x | x | x | x |
- Two tubes (660uL each) of pre-working stock 1 were made.
- We ran out of pre-working stocks 2 and 3 - whoever needs them next gets to make them, my carpal-tunnel's kicking in right now.
- NB: It was noticed that, due to a typing error, previously the "total" for pre-working stocks 1, 2, and 3 were incorrectly listed as 77, 34, and 34 respectively. They are in fact 66, 33, and 33. The correction was made in the original table.
- Two tubes of folded Db and Eb were made yesterday; one of each were used in the precipitation today, along with the only tubes of folded Fb and Gb. In order to have enough rxns for the gel, another two tubes of Fb and Gb were folded along with the Hb and Ib created today.
- Hb and Ib folding reactions were made up, along with additional Fb and Gb reactions.
- Thermocycler FOLDINGD was used (start: 12:30PM).
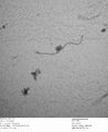
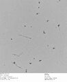
EM images
- Today's attempt to image container design 4
- No latches or streptavidin was included in these reactions
-
c4.0 -latch, 0.2% uranyl formate
-
c4.0 -latch, 0.2% uranyl formate
-
c4.0 -latch, 0.5% uranyl formate
-
c4.0 -latch, 0.5% uranyl formate
-
c4.0 -latch, 0.1% uranyl formate
-
c4.0 -latch, 0.1% uranyl formate
-
c4.0 -latch, 0.1% uranyl formate
-
c4.0 -latch, 0.1% uranyl formate
-
c4.0 -latch, 0.1% uranyl formate
-
c4.0 -latch, 0.1% uranyl formate