IGEM:Peking/2007/Count-Conjugation-Notebook/2007-8-16
From OpenWetWare
Jump to navigationJump to search
Tandem OriT by Qu Mingzhi
Amplification Culture of R-OriT & S-OriT(T-vector)
- select Positive R-OriT & S-OriT Colonies from Plate,Culture in liquid LB,waiting for mini-prep.
mini-prep E0240
- using Transgen mini plasmid puriflication kit.
- 50µL after purflication.
mini-prep double digesting test
- Digesting E0240 with EcoRI/PstI.
- E0240 Digestion system contains:
1 µl 10*H 0.25 µl EcoRI 0.25 µl PstI 5 µl Plasmid 3.5 µl dH20 -------------------------- 40 µl Total
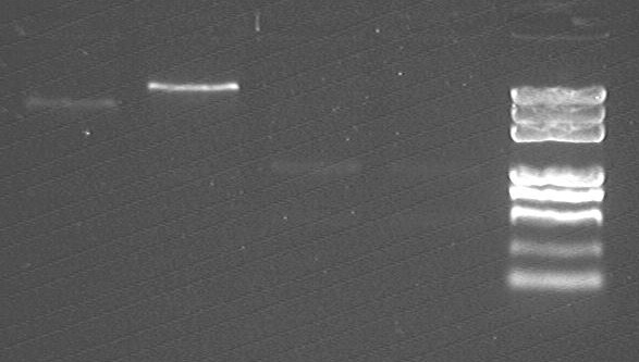
electrophoresis result
- from left to right:
- E0240 -1 @ EcoRI/PstI
- E0240 -2 @ EcoRI/PstI
- pSB1A2
- Maker(DL2000 plus)
Double digesting test for PlacI-I741051, R0010, E0240
- use Double digesting test for gel extraction.
- PlacI-I74051 digestion system contains(Standard Assembly vector):
4 µl 10*H buffer 1 µl SpeI 1 µl PstI 20 µl Plasmid 14 µl dH20 -------------------------- 40 µl Total
- R0010 digestion system contains(Standard Assembly vector):
4 µl 10*H buffer 1 µl SpeI 1 µl PstI 20 µl Plasmid 14 µl dH20 -------------------------- 40 µl Total
- E0240 digestion system contains(Standard Assembly vector):
4 µl 10*M buffer 1 µl XbaI 1 µl PstI 20 µl Plasmid 14 µl dH20 -------------------------- 40 µl Total
electrophoresis result before gel extraction
- from left to right:
- 1-2 PlacI-I741051 @ SpeI/PstI
- 3-4 R0010 @ SpeI/PstI
- 5-8 E0240 @ PstI/XbaI
- 9 Marker(DL2000 plus)
electrophoresis result after gel extraction
- from left to right:
- PlacI-I741051
- R0010
- pSB1A2
- pSB1A2
Ligation: PlacI-I741051 <- E0240 & R0010 <- E0240
- Ligate the E0240 fragment and PlacI-I741051 vector .
- Ligate the E0240 fragment and R0010 vector .
- use super fast T4 DNA ligase
- super fast T4 DNA ligase Ligation system contains:
2 µl vector 3 µl E0240 fragment 0.5 µl ''super fast T4 DNA ligase'' 1 µl 10X T4 ligase buffer 3.5 µl dH20 -------------------------- 10 µl Total
transformation PlacI-I741051 <- E0240 & R0010 <- E0240
- NEXT DAY: Received clones...R0010 <- E0240 shows green GFP!.
Lock & Key By Yu Tao
Transformation Result: Efficiency Test of Competent Cells III
- Result as expected.
| Competent Cells II | Competent Cells III | Competent Cells III
------------------------------------------------------------------------------------------------
R0010 | 1 uL | 1 uL | 0 uL
------------------------------------------------------------------------------------------------
ddH2O | 0 uL | 0 uL | 1 uL
------------------------------------------------------------------------------------------------
antibiotics resistency test | Amp | Amp | Amp/Kan,respectively
------------------------------------------------------------------------------------------------
Number of clones | hundreds | thousands | none for both Amp/Kan
Transformation Result: R0040.J01010->E0040.B0015 and R0010.J01008<-B0015
- Only colonies in R0010.J01008<-B0015 experimental plate grow.
- Select probable positive colonies from the experimental plate, culture them in liquid LB overnight for mini-prep.
- We need to retry the R0040.J01010->E0040.B0015.
R0040.J01010 Digestion Product Purification
- Use Transgen Quick Gel Extraction Kit.
- Unfortunately, Qu just extracted the wrong band. As below:
- from left to right:
- DL2000 plus marker
- Digestion Product before purified.
- Qu extracted the larger(higher) band, but I need the smaller(lower) band. Do not matter, we can do it again.
Double Digestion: R0040.J01010
- The third time now.
- Digesting R0040.J01010 with EcoRI/SpeI, system components see previous record.
- 37℃ overnight.
Ligation and transformation: pEASY-T3<-J01008
- Retry the ligation.
- Use the pEASY-T3 clone vector.
- Transform the ligation product into DH5a competent cells.
- Result to be seen tonight.
Transformation Result
- Some clones grow.
- Select probable positive colonies from the experimental plate, culture them in liquid LB overnight for mini-prep.



